REALTOR® Login
Communities 
Calgary Communities
City Centre East   North  North East North West South  South East West 
Calgary Surrounding
Airdrie Brooks Carstairs Chestermere Claresholm Cochrane Crossfield Didsbury High River Irricana Langdon Okotoks Olds Strathmore Sundre Diamond Valley Rural Rockyview County
Edmonton Communities
City Centre North East North West South East South West West 
Edmonton Surrounding
Beaumont Devon Fort Saskatchewan Leduc Sherwood Park Spruce Grove St.Albert Stony Plain
Central Alberta
Camrose Clearwater County Red Deer Rocky Mountain House Sylvan Lake
Southern Alberta
Crowsnest Pass Lethbridge Medicine Hat
West Alberta
Canmore 
British Columbia
Kelowna Osoyoos Peachland Penticton Revelstoke Salmon Arm Sicamous West Kelowna
Home Evaluation 
Resources 
Resources
Buyer Resources Seller Resources Partners Blog Guide to Buying and Selling During COVID-19
Realtors 
Why CIR 
About Us
Best My Nest We Give Back - 1forALL Initiative Join Our Team Luxury Portfolio
Property Management 
Contact Us 
https://www.cirrealty.ca/reb/cara/0/A2223160_2.jpg https://www.cirrealty.ca/reb/cara/0/A2223160_3.jpg https://www.cirrealty.ca/reb/cara/0/A2223160_4.jpg

5001 70 Street

Camrose T4V 5G1

MLS® Number:  A2223160

Back to Cascades    Previous    Next

  • Home \
  • Camrose \
  • Cascades \
  • 5001 70 Street

$ 119,900

0

BEDROOMS

0 + 0

BATHROOMS

0

SQUARE FEET

0

YEAR BUILT

https://www.cirrealty.ca/reb/cara/0/A2223160_2.jpg





MLS® Number
A2223160
PROPERTY TYPE
Residential Land
LISTING DATE
May-22-2025

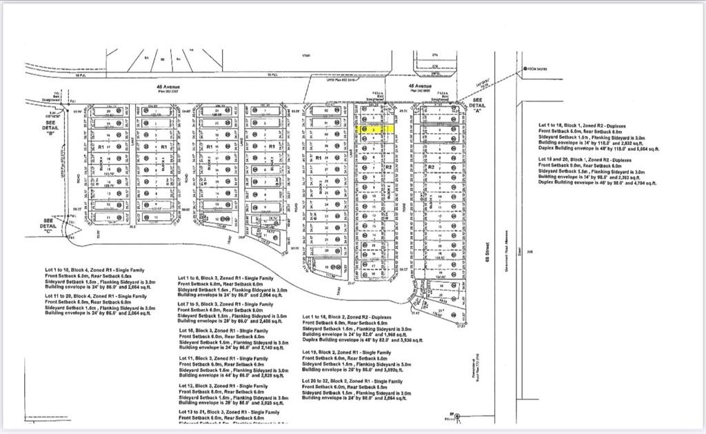
Come build your new home in the family friendly Cascades subdivision in our amazing city of Camrose! These affordable lots are perfectly located close to the west-end shopping, services, golf course, playground and parks including a dog run. R2 lot backing onto the pond and adjacent to a playground. A great opportunity not to be missed.

COMMUNITY  Cascades
PROPERTY TYPE  Residential Land
BUILDING TYPE 
STYLE  N/A
YEAR BUILT 0
SQUARE FOOTAGE  0
BEDROOMS  0
BATHROOMS  0
BASEMENT 
AMENITIES 
APPLIANCES 
COOLING 
FIREPLACE  N/A
FLOORING 
HEATING 
LAUNDRY 
LOT FEATURES 
PARKING 
RESTRICTIONS  Restrictive Covenant-Building Design/Size
ROOF 
TITLE  Fee Simple
BROKER  Central Agencies Realty Inc.

 

 

ROOMS DIMENSIONS (m) LEVEL
Picture for 4720 68 Street  Picture for 4720 68 Street  Picture for 4720 68 Street  Picture for 4720 68 Street  Picture for 4720 68 Street

4720 68 Street

Camrose

0 sqft | 0 Beds | 0 + 0 Baths    

$143,000 View

Picture for 4720 68 Street  Picture for 4720 68 Street  Picture for 4720 68 Street  Picture for 4720 68 Street  Picture for 4720 68 Street

4720 68 Street

Camrose

0 sqft | 0 Beds | 0 + 0 Baths    

$143,000 View

Picture for 4720 68 Street  Picture for 4720 68 Street  Picture for 4720 68 Street  Picture for 4720 68 Street  Picture for 4720 68 Street

4720 68 Street

Camrose

0 sqft | 0 Beds | 0 + 0 Baths    

$141,400 View

Picture for 4720 68 Street  Picture for 4720 68 Street  Picture for 4720 68 Street  Picture for 4720 68 Street  Picture for 4720 68 Street

4720 68 Street

Camrose

0 sqft | 0 Beds | 0 + 0 Baths    

$141,400 View

Picture for 4720 68 Street  Picture for 4720 68 Street  Picture for 4720 68 Street  Picture for 4720 68 Street  Picture for 4720 68 Street

4720 68 Street

Camrose

0 sqft | 0 Beds | 0 + 0 Baths    

$141,800 View

Picture for 4720 68 Street  Picture for 4720 68 Street  Picture for 4720 68 Street  Picture for 4720 68 Street  Picture for 4720 68 Street

4720 68 Street

Camrose

0 sqft | 0 Beds | 0 + 0 Baths    

$116,900 View

Picture for 4720 68 Street  Picture for 4720 68 Street  Picture for 4720 68 Street  Picture for 4720 68 Street  Picture for 4720 68 Street

4720 68 Street

Camrose

0 sqft | 0 Beds | 0 + 0 Baths    

$116,900 View

Picture for 4720 68 Street  Picture for 4720 68 Street  Picture for 4720 68 Street  Picture for 4720 68 Street  Picture for 4720 68 Street

4720 68 Street

Camrose

0 sqft | 0 Beds | 0 + 0 Baths    

$141,400 View

Picture for 4720 68 Street  Picture for 4720 68 Street  Picture for 4720 68 Street  Picture for 4720 68 Street  Picture for 4720 68 Street

4720 68 Street

Camrose

0 sqft | 0 Beds | 0 + 0 Baths    

$141,800 View

Picture for 4720 68 Street  Picture for 4720 68 Street  Picture for 4720 68 Street  Picture for 4720 68 Street  Picture for 4720 68 Street

4720 68 Street

Camrose

0 sqft | 0 Beds | 0 + 0 Baths    

$116,900 View

Calgary Real Estate Airdrie Real Estate Okotoks Real Estate Cochrane Real Estate Strathmore Real Estate Chestermere Real Estate Sundre Real Estate High River Real Estate Diamond Valley Real Estate Brooks Real Estate Olds Real Estate Irricana Real Estate Carstairs Real Estate Crossfield Real Estate Claresholm Real Estate Didsbury Real Estate Langdon Real Estate
South Calgary Real Estate Southeast Calgary Real Estate City Centre Calgary Real Estate East Calgary Real Estate North Calgary Real Estate Northwest Calgary Real Estate West Calgary Real Estate Northeast Calgary Real Estate Lethbridge Real Estate Red Deer Real Estate Sylvan Lake Real Estate Brooks Real Estate Edmonton Real Estate Canmore Real Estate Global Real Estate Luxury Real Estate
Home Why CIR Relocation Careers Partners Best My Nest
Realtors Home Evaluation Contact Us




Data supplied by CREB®,CARA®,CREA®,RASCA®,LDAR® or RAE MLS® System. CREB®,CARA®,CREA®,RASCA®,LDAR® or RAE is the owner of the copyright in its MLS® System. The Listing data is deemed reliable but is not guaranteed accurate by CREB®,CARA®,CREA®,RASCA®,LDAR® or RAE. Data is deemed reliable but is not guaranteed accurate by the REALTORS® Association of Edmonton.Copyright [2024] by the REALTORS® Association of Edmonton. All Rights Reserved.